Президент США не сможет прилететь в Берлин 10 октября в связи с мощным ураганом "Милтон", который приближается к побережью Флориды, заявил Белый дом во вторнк. Пока неясно, когда будет совершен этот визит, пишет dw.com.
Кроме того, решено отложить поездку Байдена в Анголу, куда американский президент планировал вылететь после Германии.
Администрация США выразила серьезную обеспокоенность по поводу сильного шторма, который, по всей видимости, направляется в районы, которые недавно пострадали от урагана "Хелен".
При этом не сообщается, когда Байден, президентский срок которого закончится в январе, совершит эти поездки.
Между тем, официальный представитель правительства ФРГ Штеффен Хебештрайт (Steffen Hebestreit) выразил сожаление в связи с решением отложить визит Байдена.
Вместе с тем федеральное правительство, "безусловно, проявляет понимание в связи с ситуацией во Флориде", добавил он. По словам Хебештрайта, Белый дом ранее проинформировал о решении власти ФРГ.
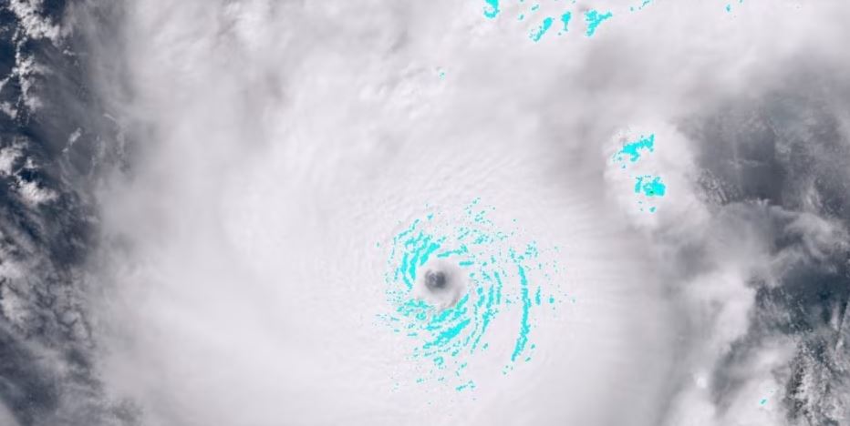
За последние часы ураган "Милтон" немного ослабел и на данный момент является штормом категории 4 с устойчивой скоростью ветра около 230 км/ч.
Национальный центр США по ураганам выступил с прогнозом, что речь идет о "чрезвычайно опасном урагане, который обрушится на побережье Флориды".

Как сообщает Голос Америки, в среду ураган обрушится на западное побережье Флориды, жители которого еще не оправились от урагана «Хелена»
Усиливающийся ураган «Милтон» во вторник устремился к пострадавшему от недавнего урагана «Хелена» побережью Мексиканского залива во Флориде. Более миллиона жителей штата получили распоряжение эвакуироваться прежде, чем шторм выйдет на сушу в районе Тампы.
Ураган, стремительно усилившийся в понедельник и ставший одним из самых мощных за всю историю наблюдений, судя по прогнозам, обрушится на побережье в среду, угрожая густонаселенному западному побережью Флориды, которое еще не оправилось от разрушительного урагана «Хелена», прошедшего менее двух недель назад.

Появление урагана в заливе станет первым с 1921 года, когда разросшийся район Тампа-Санкт-Петербург-Клируотер был относительным захолустьем.
«Милтон может стать одним из самых разрушительных ураганов в истории для западно-центральной части Флориды», – заявили в Национальном центре отслеживания ураганов.
Во вторник губернатор Флориды Рон Десантис заявил, что штат задействует 8000 военнослужащих Национальной гвардии и разместит грузовики с припасами и оборудованием в районе, где ожидается ураган.
По состоянию на вторую половину дня во вторник около 900 внутренних и международных рейсов в США были задержаны и почти 700 – отменены. Более 1500 рейсов, запланированных на среду, уже отменены, по данным провайдера данных отслеживания полетов FlightAware.
Согласно последнему прогнозу Национального центра отслеживания ураганов, опубликованному во вторник, при максимальных устойчивых ветрах в 150 миль/ч (241 км/ч) «Милтон» был понижен с категории 5 до категории 4 по пятиступенчатой шкале Саффира-Симпсона.
Этой осенью оставайтесь с нами в Telegram, Facebook, Instagram, Яндекс.Дзен, OK и ВК



